Navigation for Station navigation
Morning Report
RNZ National’s flagship news programme known for breaking news stories, incisive interviews with politicians across the political spectrum and newsmakers and commentators from Aotearoa and around the world. There's a lot to talk about in the mornings and Morning Report is covering the stories that matter to the people of Aotearoa.
Monday to Friday, 6am - 9am
Navigation for Morning Report
Latest audio
Friday, 18 December 2020
-
Covid-19: US hits another record for daily death toll
18 Dec 2020In the US more than 3600 people died of Covid-19 yesterday a new, shocking record for a country that has now recorded more than 17 million cases of coronavirus infection.
A second vaccine is expected… Read more Audio
-
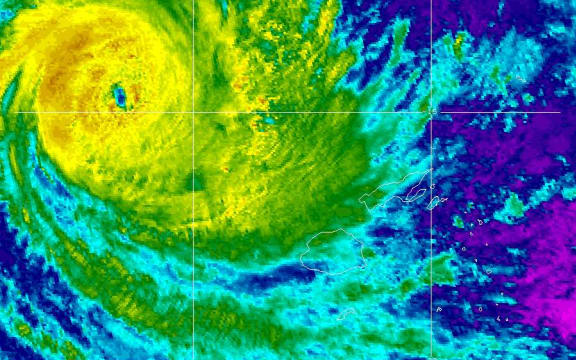
Cyclone Yasa strikes Fiji
18 Dec 2020Cyclone Yasa has struck Fiji overnight, with winds gusting as high as 350kmph flash flooding, large waves and strong winds are all a part of the threat to the Pacific Island, the aftermath will be… Read more Audio
-
Sports News for 18 December 2020
18 Dec 2020Russian athletes will be barred from competing at major international events, including the Olympics, under the country's flag until the end of 2022 after the court of arbitration for sport court… Read more Audio
-
WOMAD cancelled for the first time in 16 years
New Plymouth's iconic music, arts, and dance festival WOMAD, which takes place in March every year, has been cancelled for the first time in its 16 year history.
It comes less than a month after the… Read more Audio
-
Officials planned to ask bridge neighbours about heavy metals
18 Dec 2020Transport officials planned to ask residents near the Auckland Harbour Bridge if their properties could be tested for heavy metals, without telling them contamination had already been found nearby.
… Read more Audio
-
Air NZ to rehire furloughed crew for trans-Tasman bubble
18 Dec 2020Air New Zealand will rehire some of the cabin crew it furloughed at the beginning of the pandemic, as the planned Trans Tasman Travel Bubble raises the prospect of increased international air travel… Read more Audio
-
Homeschooling enrolments jump post lockdown
18 Dec 2020The pandemic has driven the biggest-ever annual increase in home-schooling enrolments.
Education Ministry figures show 7192 children were being home-schooled in July, 619 more than at the same time… Read more Audio
-
Covid-19: Any Kiwi who wants one will be able to get vaccine
18 Dec 2020The government says every New Zealander who wants one can get a Covid-19 vaccine, starting midway throught 2021.
It has pre-purchased a further two vaccines - 7.6 million doses will come from… Read more Audio
-
Ihumātao land will be used for housing - Robertson
18 Dec 2020Finance Minister Grant Robertson has vowed the land at Ihumātao will be used for housing.
The government yesterday agreed to buy the land from Fletcher Building for just under $30 million - with a… Read more Audio
-
Ihumātao: Relief at front lines after deal struck
18 Dec 2020A breakthrough deal to buy the disputed Ihumātao land has brought an end to years of protest - involving hīkoi, petitions, court action, a trip to the United Nations, and a lengthy land-occupation.
… Read more Audio
-
Cyclone Yasa flattens houses in Fiji
18 Dec 2020Houses have been flattened, and people left in only the clothes they're wearing as Cyclone Yasa swept into the island of Vanua Levu yesterday evening, with winds gusting as high as 350km/h.
… Read more Audio
-
Business News for 18 December 2020
News from the business sector, including a market report. Read more Audio
Morning Report
RNZ National’s flagship news programme known for breaking news stories, incisive interviews with politicians across the political spectrum and newsmakers and commentators from Aotearoa and around the world. There's a lot to talk about in the mornings and Morning Report is covering the stories that matter to the people of Aotearoa.
Hosted by former political editor and breakfast and business TV host Corin Dann, with co-presenter Ingrid Hipkiss. They’re joined by award-winning newsreader Nicola Wright, and, sports newsreader and commentator Nathan Rarere (who also hosts RNZ's First Up).
Edited by Martin Gibson
Monday to Friday, 6am - 9am
Follow this podcast.