Weather
'Million-dollar question': What the weather is looking like for Christmas
A forecaster says it may not be a nice, settled story that many of us are hoping for.
Morning Report Essentials for Tuesday 16 December
Reserve Bank governor Anna Breman has taken the unusual step of indicating the OCR is unlikely to be cut for some time; Australia's national cabinet has agreed to bolster gun control laws in the wake… Audio
Timely reminder to use sunscreen as summer heat hits
Summer is well and truly here, and with warmer days comes more time spent outdoors, and the need for sunscreen. Head of advocacy and public affairs at the Cancer Society, Rachael Neumann spoke to… Audio
Heavy rain, severe gales to lash South Island
Heavy rain and severe gales are expected to hit the South Island, with MetService issuing orange warnings and watches.
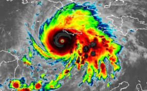
Torrential rains unleash widespread flooding in North America
Heavy rain has triggered flooding across much of the region, closing dozens of roads and prompting mass evacuations.
Dry, fine and sunny weather for the weekend
Although temperatures will be warm this weekend, they will be a little bit cooler than last weekend.
Thunderstorm risk eases in areas of South Island
There are reports of flooding in Timaru, while Dunedin was pelted with hail as severe thunderstorms swept across Otago on Thursday.
More needed from councils in wake of floods, report finds
A government report has found local councils need to be doing more to prepare for flooding and to mitigate the risks it poses to communities.
Weather: Relief on way after scorching summer days
After a run of unusually hot weather across much of the motu, temperatures are expected to finally drop.
Heat, holidays, hikes, and a 'stinkin strong' sun
The Detail, Newsroom, DOC, summer, Earth Sciences New Zealand, Lincoln University, Tongariro fires, Tongariro National Park, Cathedral Cove, summer holidays, Christmas, New Years Audio
Warmest spring ever is part of 'new normal'
More than 50 weather stations round the country recorded their warmest-ever spring, new data confirms.
DOC investigating after hikers dropped at Tongariro crossing
DOC is investigating after shuttle operators dropped hikers at the start of the Tongariro Alpine crossing despite a bad weather forecast, Meaning they shouldn't be on the track. Transport operators… Audio
Firefighters scrambling to contain fires in Tongariro National Park
Firefighters are scrambling to contain several fires burning in Tongariro National Park. More than a dozen fire vehicles plus five choppers are fighting the blaze, which is estimated to be 100… Audio
Parts of the country sweltering under heat alerts
Hawke's Bay and Gisborne are sweltering under heat alerts today with temperatures reaching 34 degrees at Napier Airport and 32 degrees in Wairoa. They're not the only regions wilting under warm… Audio
Midday Report Essentials for Monday 8 December 2025
The Children's Commissioner has launched what she's calling an urgent advocacy campaign to prevent children being neglected, abused and killed; Wellingtonians will soon be able to tag on to buses and… Audio
It's hot! So hot! Is this the new normal?
Summer has well and truly arrived, with the heat a big topic of conversation in the RNZ office. MetService has issued a heat alert for Hawke's Bay warning residents to take care as temperatures are… Audio
Heat warning issued for Hastings as warm weather hits NZ
Temperatures are up around the country today with a heat alert issued for Hastings. Vaughan Currie, the owner of legendary ice cream store Rush Munro's, spoke to Lauren Crimp. Audio
Heat alert as parts of country face 36C day
Residents are being warned to keep cool and hydrated over the next week as the mercury soars. Video
Heavy rain, gales to hit South Island
MetService has issued a heavy rain warning for Fiordland, with up to 150mm of rain and thunderstorms predicted.
Weather: Front brings rain, wind to South Island - MetService
Some regions of Te Waipounamu are warned to expect gale northwesterlies gusting up to 120km/h, while others should expect to be lashed by downpours.